Vendido
SE VENDE TERRENO DENTRO DE BULEVARES
Código: 179368

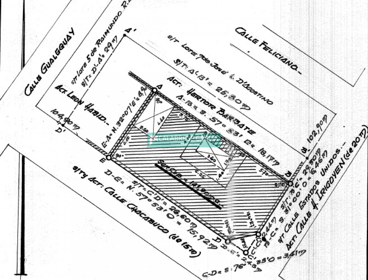
Hipólito Yrigoyen & Chacabuco, E3100 Paraná, Entre Ríos, Argentina, Parana, Entre Rios, Argentina.

USD90.000

Lote
Compartir esta Propiedad

Descripción de la Propiedad

Se vende terreno ubicado en calle Chacabuco esquina Irigoyen,
a 2 cuadras de la plaza Sáenz Peña.
la propiedad se encuentra demolida, siendo un lugar estratégico e
ideal para desarrollar un emprendimiento de viviendas multifamiliar,
donde contamos con un equipo que puede hacerse cargo del proyecto
como así también de la ejecución de la obra.
En el lote en cuestión salen 4 departamentos por planta.
Otra utilidad podría ser una vivienda familiar ya que la ubicación es excelente
para una vida familiar.

Mas detalles
  • Agua Corriente
  • Cloacas
  • Electricidad
  • Red Gas Natural